Property Details
Property Details
Property Details
Boxwood St. Mohawk, Apple Valley, CA 92308
$45,000 LOGIN TO SAVE
Boxwood St. Mohawk, Apple Valley, CA 92308
Bedrooms:
span widget
Bathrooms:
span widget
span widget
Area: SqFt.
Description
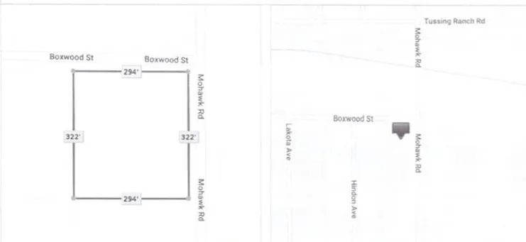
2.169 Ac. SW Corner of Boxwood Street and Mohawk Road. Hurry while the prices are still affordable. Rural Residential Land within in the Town of Apple Valley.North of the site is an established single family residential development and the railroad. Utilities near the site, This area offers the best of both worlds: Sweeping desert & mountain views, with the convenience of schools, shopping and activities. This lot is in a great location just west of the rapidly growing Marianas, Close to the new theater center and shopping. The Google coordination map, Latitude:34.439513 and Longitude: -117.199320
Features
Listing provided courtesy of Richard Khatibi of Rich Estate Props. Last updated . Listing information © 2025 Sandicor.













